横浜市青葉区荏田西3丁目 建築条件無売地 5990万円 区画No.3

物件種別

土地・売り地

価格

5,990万円

所在地

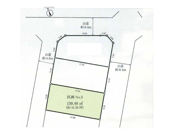
横浜市青葉区 荏田西3丁目 17-1

交通

田園都市線「江田」駅 徒歩 13 分

田園都市線「市が尾」駅 徒歩 16 分

土地面積

139.49㎡

前回情報更新日 2025.11.21 | 次回情報更新予定日 2025.12.05

建築前自由設計

道路広々(5m以上)

区画整理分譲地内に住む

低層住居専用地域

1 | 4

この物件のココがオススメ!

「江田」駅徒歩13分 低層住宅が並ぶ閑静な住宅地 建築条件はありませんのでお好きなメーカーで建築できます

  • 都市ガス
  • 公営水道
  • 公共下水
  • 区画整理地内
  • 閑静な住宅地

お気軽にどうぞ!

お気に入りに追加済み

所在地マップ

お気軽にどうぞ!

お気に入りに追加済み

ローンシミュレーション

頭金・金利の場合

この物件の月々のお支払額

142,782

ボーナス時(年2回)お支払額

150,000

安全性をチェック! 年収に対する返済比率

- %

※会員登録し、詳細情報を記入されますと、全ての物件で自動的に金額が表示され、大変便利です。

※まだ会員登録をされていない方は、下記チェック欄をご記入ください。

※上記計算は物件価格 5,990万円+諸経費 8%込みの金額による結果となります。

※返済金額はあくまでも目安です。

お客様の条件からシミュレーションするには?

会員登録してローン情報を入力しておくと全ての物件に対してローンシミュレーションを表示できます。

周辺環境

江田駅(渋谷駅まで約30分。駅東口前には国道246号が走っており、駅前で国道246号と東名高速道路が交差している。)

周辺環境:江田駅(渋谷駅まで約30分。駅東口前には国道246号が走っており、駅前で国道246号と東名高速道路が交差している。)(850m)

荏田西小学校(荏田西四丁目にある公立小学校。学校教育目標は、「心豊かにかかわり、互いに高め合いながら、学び続ける子に育てます」)

小学校

周辺環境:荏田西小学校(荏田西四丁目にある公立小学校。学校教育目標は、「心豊かにかかわり、互いに高め合いながら、学び続ける子に育てます」)(550m)

市ケ尾中学校(公立中学校です。落ち着きがありながら、楽しく、笑いの絶えない校風です。)

中学校

周辺環境:市ケ尾中学校(公立中学校です。落ち着きがありながら、楽しく、笑いの絶えない校風です。)(900m)

ローソンJPローソン青葉郵便局(「マチのほっとステーション」をスローガンに掲げる通り、忙しい日々に「ほっ」とするひとときをもたらします。)

コンビニ

周辺環境:ローソンJPローソン青葉郵便局(「マチのほっとステーション」をスローガンに掲げる通り、忙しい日々に「ほっ」とするひとときをもたらします。)(450m)

荏田富士塚公園(住宅街らしく近隣には公園が複数ありますので、お子様にも嬉しい住環境です。きっと、お気に入りの公園がみつかるはずです。)

公園

周辺環境:荏田富士塚公園(住宅街らしく近隣には公園が複数ありますので、お子様にも嬉しい住環境です。きっと、お気に入りの公園がみつかるはずです。)(550m)

食品館あおば 荏田北店(新鮮で安全な食品、食材を毎日特価販売です!駐車場もございます!)

スーパー

周辺環境:食品館あおば 荏田北店(新鮮で安全な食品、食材を毎日特価販売です!駐車場もございます!)(1100m)

お気軽にどうぞ!

お気に入りに追加済み

詳細情報

学区

荏田西小学校

市ケ尾中学校

用途地域

第一種低層住居専用

地目

宅地

建ぺい率

40%

容積率

80%

駐車場

無し

接道

南東 6.4m 北西 4.5m

権利

所有権

私道面積

無し

セットバック

無し

入居日

相談

都市計画

市街化区域

取引態様

仲介

物件番号

A1857-3

設備

都市ガス、公営水道、公共下水、区画整理地内、閑静な住宅地、平坦地、都市近郊、南側道路面す、前道6m以上、市街地が近い、周辺交通量少なめ、小学校徒歩10分以内、建物プラン例有り、都市ガス、眺望良好

こだわり

運転ラクラク生活、外食を楽しめる生活、区画整理分譲地内に住む、広い庭のある暮らし、建築前自由設計、小学校10分以内、有料道路インター2キロ以内、コンビニ10分以内、保育園10分以内、公園10分以内、都市ガス、道路広々(5m以上)、南道路限定、眺望良好、低層住居専用地域

特記事項

 壁面後退:有/宅地造成工事規制区域:有/高度地区:有/日影制限:有/敷地面積最低限度:有/高さ限度:有/緑化地域 建築基準法第22条による区域。 建築条件:なし

備考

「江田」駅徒歩13分 低層住宅が並ぶ閑静な住宅地 建築条件はありませんのでお好きなメーカーで建築できます

この一戸建てを見ている人におすすめの物件

お気軽にどうぞ!

お気に入りに追加済み

loading...