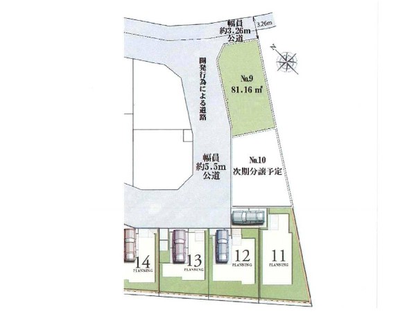
横浜市港北区小机町 建築条件無売地 3780万円 No.9

物件種別

土地・売り地

価格

3,780万円

所在地

横浜市港北区 小机町 54-1

交通

横浜線「小机」駅 徒歩 20 分

東急新横浜線「新横浜」駅 バス停「住吉神社前」まで 徒歩 2 分 バス利用 12分

土地面積

81.16㎡

前回情報更新日 2026.04.17 | 次回情報更新予定日 2026.05.01

建築前自由設計

角地限定

道路広々(5m以上)

1 | 4

この物件のココがオススメ!

「小机」駅徒歩20分 全22区画の大型分譲地 建築条件はありませんのでお好きなメーカーで建築できます

  • 都市ガス
  • 公営水道
  • 公共下水
  • 閑静な住宅地
  • 平坦地

お気軽にどうぞ!

お気に入りに追加済み

所在地マップ

お気軽にどうぞ!

お気に入りに追加済み

ローンシミュレーション

頭金・金利の場合

この物件の月々のお支払額

80,872

ボーナス時(年2回)お支払額

150,000

安全性をチェック! 年収に対する返済比率

- %

※会員登録し、詳細情報を記入されますと、全ての物件で自動的に金額が表示され、大変便利です。

※まだ会員登録をされていない方は、下記チェック欄をご記入ください。

※上記計算は物件価格 3,780万円+諸経費 8%込みの金額による結果となります。

※返済金額はあくまでも目安です。

お客様の条件からシミュレーションするには?

会員登録してローン情報を入力しておくと全ての物件に対してローンシミュレーションを表示できます。

周辺環境

小机駅(横浜国際総合競技場(命名権により日産スタジアム)の開場と同年の1998年に現在の橋上駅舎が完成しました。)

周辺環境:小机駅(横浜国際総合競技場(命名権により日産スタジアム)の開場と同年の1998年に現在の橋上駅舎が完成しました。)(1500m)

小机小学校(学校教育目標は、「心豊かに学び合い、ともに伸びる子」。)

小学校

周辺環境:小机小学校(学校教育目標は、「心豊かに学び合い、ともに伸びる子」。)(1500m)

城郷中学校(昭和22年開校で生徒数は700名を超える。近隣の中学校と比較しても生徒数は多い。部活が盛んで各種様々練習が常に賑わっている。)

中学校

周辺環境:城郷中学校(昭和22年開校で生徒数は700名を超える。近隣の中学校と比較しても生徒数は多い。部活が盛んで各種様々練習が常に賑わっている。)(1100m)

ららぽーと横浜(買物や食事だけではなく、映画館、クリニックなども入り、家族で1日過ごせる大型商業施設です。イベントの開催も多く、楽しみ方は広がります。)

ショッピングセンター

周辺環境:ららぽーと横浜(買物や食事だけではなく、映画館、クリニックなども入り、家族で1日過ごせる大型商業施設です。イベントの開催も多く、楽しみ方は広がります。)(2000m)

日産スタジアム(横浜Fマリノスのホームとして、また、2002年W杯サッカーの試合会場としても注目を集めたスタジアム。)

周辺の街並み

周辺環境:日産スタジアム(横浜Fマリノスのホームとして、また、2002年W杯サッカーの試合会場としても注目を集めたスタジアム。)(2200m)

新横浜母と子の病院(「安全・安心・快適」なご出産に誠心誠意取り組んでおります。当院でのご出産は、24時間・365日。必ず産婦人科専門医が立会います。)

病院

周辺環境:新横浜母と子の病院(「安全・安心・快適」なご出産に誠心誠意取り組んでおります。当院でのご出産は、24時間・365日。必ず産婦人科専門医が立会います。)(2300m)

お気軽にどうぞ!

お気に入りに追加済み

詳細情報

学区

小机小学校

城郷中学校

用途地域

第二種住居

地目

宅地

建ぺい率

60%

容積率

200%

駐車場

無し

接道

北西 5.5m 北東 3.2m

権利

所有権

私道面積

無し

セットバック

無し

入居日

相談

都市計画

市街化区域

取引態様

仲介

物件番号

A2121-9

設備

都市ガス、公営水道、公共下水、閑静な住宅地、平坦地、角地、都市近郊、開発分譲地内、市街地が近い、周辺交通量少なめ、スーパーが近い(10分以内)、2沿線以上利用可、保育施設・幼稚園5分以内、公園5分以内、コンビニ5分以内、都市ガス、建物プラン例有り

こだわり

道路狭い(4メートル未満)、運転ラクラク生活、子供の多い街に住む、自然を感じる暮らし、建築前自由設計、有料道路インター2キロ以内、スーパー10分以内、コンビニ10分以内、保育園10分以内、幼稚園10分以内、公園10分以内、都市ガス、20棟以上の分譲地、角地限定、道路広々(5m以上)、道路と段差無し、3階建て以上建築可能地域

特記事項

 文化財保護法:有/隅切り:有/宅地造成工事規制区域:有/高度地区:有/準防火地域:有/日影制限:有/緑化地域。 建築条件:なし

備考

「小机」駅徒歩20分 全22区画の大型分譲地 建築条件はありませんのでお好きなメーカーで建築できます

この一戸建てを見ている人におすすめの物件

お気軽にどうぞ!

お気に入りに追加済み

loading...