川崎市宮前区菅生2丁目 新築一戸建 4280万円 5号棟

物件種別

新築一戸建て

価格

4,280万円

所在地

川崎市宮前区 菅生2丁目 19

交通

田園都市線「宮前平」駅 バス停「長沢」まで 徒歩 3 分 バス利用 15分

小田急線「新百合ヶ丘」駅 バス停「聖マリアンナ医大入口」まで 徒歩 3 分 バス利用 19分

土地面積

71.76㎡

建物面積

118.41㎡

間取り

4LDK

前回情報更新日 2026.04.16 | 次回情報更新予定日 2026.04.30

1 | 2

この物件のココがオススメ!

緑豊かな住宅地「宮前区菅生」全32棟の大規模分譲(今回販売13棟残り7棟)Wic等収納豊富な3階建

  • システムキッチン
  • ガス3口
  • 対面キッチン
  • ユニットバス
  • 追い焚き

お気軽にどうぞ!

お気に入りに追加済み

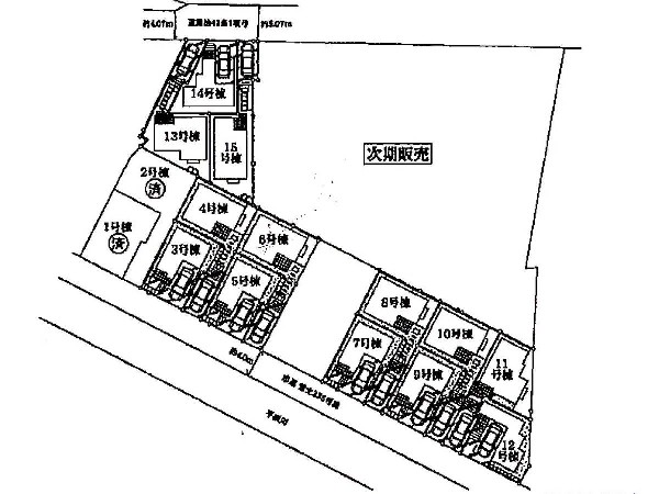
所在地マップ

間取り

お気軽にどうぞ!

お気に入りに追加済み

ローンシミュレーション

頭金・金利の場合

この物件の月々のお支払額

94,878

ボーナス時(年2回)お支払額

150,000

安全性をチェック! 年収に対する返済比率

- %

※会員登録し、詳細情報を記入されますと、全ての物件で自動的に金額が表示され、大変便利です。

※まだ会員登録をされていない方は、下記チェック欄をご記入ください。

※上記計算は物件価格 4,280万円+諸経費 8%込みの金額による結果となります。

※返済金額はあくまでも目安です。

お客様の条件からシミュレーションするには?

会員登録してローン情報を入力しておくと全ての物件に対してローンシミュレーションを表示できます。

周辺環境

食品館あおば初山店(「より良い品をより安く」をモットーに、地域のお客様に安心・安全をお届けすべく、地域一番店を目指しています。)

スーパー

周辺環境:食品館あおば初山店(「より良い品をより安く」をモットーに、地域のお客様に安心・安全をお届けすべく、地域一番店を目指しています。)(1300m)

菅生小学校(昭和42年に開校した、歴史ある小学校。「優しい気持ちと明るい笑顔」を大切にして、夢広がる楽しい学校の創造を目指していきます。)

小学校

周辺環境:菅生小学校(昭和42年に開校した、歴史ある小学校。「優しい気持ちと明るい笑顔」を大切にして、夢広がる楽しい学校の創造を目指していきます。)(850m)

生田緑地(爽やかな風が通り、豊かな自然をそのままいかした広大な緑地。広場、プラネタリウム、バラ園など、幅広い世代が楽しめるのも魅力です。)

公園

周辺環境:生田緑地(爽やかな風が通り、豊かな自然をそのままいかした広大な緑地。広場、プラネタリウム、バラ園など、幅広い世代が楽しめるのも魅力です。)(1700m)

菅生中学校(小学校よりもより長い時間を過ごす中学校。ここで過ごす時間はお子様にとって大切な思い出となるはずです。)

中学校

周辺環境:菅生中学校(小学校よりもより長い時間を過ごす中学校。ここで過ごす時間はお子様にとって大切な思い出となるはずです。)(650m)

聖マリアンナ医科大学病院(診療部門も多く救急外来も受付しているので、ご家族の「いざ」と言う時にも安心です。)

病院

周辺環境:聖マリアンナ医科大学病院(診療部門も多く救急外来も受付しているので、ご家族の「いざ」と言う時にも安心です。)(400m)

お気軽にどうぞ!

お気に入りに追加済み

詳細情報

学区

菅生小学校

菅生中学校

用途地域

第二種中高層住居専用

地目

宅地

建ぺい率

60%

容積率

160%

駐車場

有り ビルトイン車庫

接道

南西 4.0m

権利

所有権

私道面積

無し

セットバック

無し

建物構造

木造

建物階数

3階

築年月

2026/03

入居日

即時

建築確認番号

第KS125-3820-50246号

都市計画

市街化区域

取引態様

仲介

物件番号

A2304-5

設備

都市ガス、公営水道、公共下水、ビルトインガレージ、駐車場1台、緑豊かな住宅地、閑静な住宅地、都市近郊、開発分譲地内、地盤調査済、市街地が近い、総合病院徒歩10分以内、中学校徒歩10分以内、コンビニ5分以内、ウォークインクローゼット、対面キッチン、パントリー、都市ガス、システムキッチン、ガス3口、対面キッチン、浄水器、パントリー(食器・食品の収納庫)、ユニットバス、追い焚き、浴室乾燥機、ウォシュレット、トイレ2ヶ所、浴室に窓、暖房便座、バルコニー、バルコニー2面、3階建以上、LDK15畳以上、採光3面、全室2面採光、フローリング、クローゼット、ウォークインクローゼット、収納、床下収納、下駄箱、全居室収納、シャンプドレッサー付き、庭、年内入居可、モニタ付きインターフォン、複層ガラス、火災警報器(報知機)、通風良好、24時間換気システム、建物10年保証

こだわり

敷地延長(旗竿地)、自然を感じる暮らし、ウォークインクローゼット、LDKは2階に、LDK15帖以上、主寝室 8帖以上、広々バルコニー、対面キッチン、パントリー、コンビニ10分以内、総合病院10分以内、小児科医院10分以内、保育園10分以内、公園10分以内、都市ガス、屋根付きカースペース、3階建て以上建築可能地域

特記事項

 景観法:有/宅地造成工事規制区域:有/高度地区:有/準防火地域:有/日影制限:有/高さ限度:有/生産緑地地区 建物面積に車庫面積13.88m2含む ゴミ協定書A、B、C、設備共用管に関する協定書A、B、C有。

備考

緑豊かな住宅地「宮前区菅生」全32棟の大規模分譲(今回販売13棟残り7棟)Wic等収納豊富な3階建

この一戸建てを見ている人におすすめの物件

お気軽にどうぞ!

お気に入りに追加済み

loading...