稲城市押立 新築一戸建 5580万円 12号棟

物件種別

新築一戸建て

価格

5,580万円

所在地

稲城市 押立 720

交通

南武線「矢野口」駅 徒歩 15 分

南武線「稲城長沼」駅 徒歩 18 分

土地面積

100.19㎡

建物面積

79.07㎡

間取り

3LDK

前回情報更新日 2026.04.21 | 次回情報更新予定日 2026.05.05

耐震に配慮された建物

道路広々(5m以上)

日当たり良好

低層住居専用地域

1 | 2

この物件のココがオススメ!

稲城長沼駅・矢野口駅徒歩圏 全13棟の大型開発分譲地 南西向きで日当たり良好 太陽光パネル搭載

  • システムキッチン
  • 対面キッチン
  • ユニットバス
  • 追い焚き
  • 浴室乾燥機

お気軽にどうぞ!

お気に入りに追加済み

所在地マップ

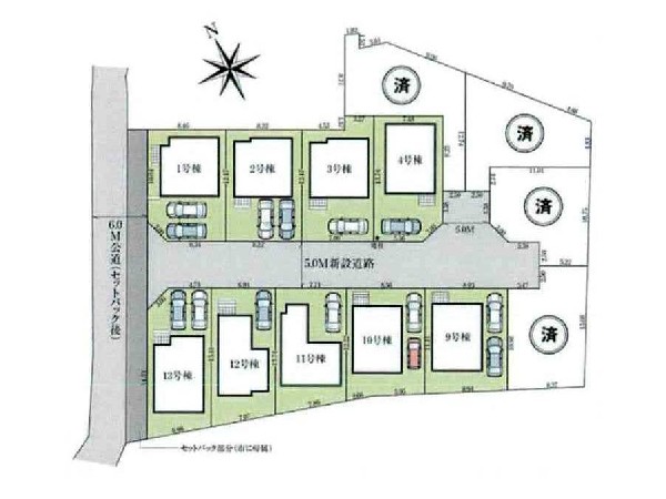
間取り

お気軽にどうぞ!

お気に入りに追加済み

ローンシミュレーション

頭金・金利の場合

この物件の月々のお支払額

131,293

ボーナス時(年2回)お支払額

150,000

安全性をチェック! 年収に対する返済比率

- %

※会員登録し、詳細情報を記入されますと、全ての物件で自動的に金額が表示され、大変便利です。

※まだ会員登録をされていない方は、下記チェック欄をご記入ください。

※上記計算は物件価格 5,580万円+諸経費 8%込みの金額による結果となります。

※返済金額はあくまでも目安です。

お客様の条件からシミュレーションするには?

会員登録してローン情報を入力しておくと全ての物件に対してローンシミュレーションを表示できます。

周辺環境

いなげや稲城矢野口店(駅の改札を出てすぐ近くにありますので、通勤通学、お出かけの際立ち寄りやすく、日々のお買い物にとても便利です。)

スーパー

周辺環境:いなげや稲城矢野口店(駅の改札を出てすぐ近くにありますので、通勤通学、お出かけの際立ち寄りやすく、日々のお買い物にとても便利です。)(1100m)

アメリア稲城ショッピングセンター(スーパー三和、ダイソー、マツキヨ、書店、衣料品店などが入る、ショッピングモールです。駐車場も広く休日のお買い物に便利です。)

ショッピングセンター

周辺環境:アメリア稲城ショッピングセンター(スーパー三和、ダイソー、マツキヨ、書店、衣料品店などが入る、ショッピングモールです。駐車場も広く休日のお買い物に便利です。)(1900m)

稲城市立稲城第四小学校(創立昭和45年。教育目標「心身ともに健康で、生涯にわたって主体的な人間の育成」)

小学校

周辺環境:稲城市立稲城第四小学校(創立昭和45年。教育目標「心身ともに健康で、生涯にわたって主体的な人間の育成」)(550m)

稲城市立稲城第四中学校(学校教育目標:自ら学び、考え、表現する 他を思いやり、力を合わせる たくましい気力・体力を養う)

中学校

周辺環境:稲城市立稲城第四中学校(学校教育目標:自ら学び、考え、表現する 他を思いやり、力を合わせる たくましい気力・体力を養う)(550m)

梨花幼稚園(園舎・園庭から子供たちの元気な声が聞こえてきます。できることが増えていく、お子様の成長が楽しみです。)

幼稚園・保育園

周辺環境:梨花幼稚園(園舎・園庭から子供たちの元気な声が聞こえてきます。できることが増えていく、お子様の成長が楽しみです。)(550m)

DCM稲城押立店(毎日の暮らしに必要な日用雑貨からリフォームまで、お客様にたくさんの満足をお届けします。)

ホームセンター

周辺環境:DCM稲城押立店(毎日の暮らしに必要な日用雑貨からリフォームまで、お客様にたくさんの満足をお届けします。)(600m)

お気軽にどうぞ!

お気に入りに追加済み

詳細情報

学区

稲城市立稲城第四小学校

I稲城市立稲城第四中学校

用途地域

第一種低層住居専用

地目

宅地

建ぺい率

40%

容積率

80%

駐車場

有り カースペース

接道

北東 5.0m

権利

所有権

私道面積

有 249.28m² 1/13

セットバック

無し

建物構造

木造

建物階数

2階

築年月

2026/04

入居日

2026/05

建築確認番号

TKK確済25-713号

都市計画

市街化区域

取引態様

仲介

物件番号

A2381-12

設備

都市ガス、公営水道、公共下水、駐車場1台、閑静な住宅地、平坦地、都市近郊、開発分譲地内、地盤調査済、市街地が近い、周辺交通量少なめ、駅まで平坦、小学校徒歩10分以内、中学校徒歩10分以内、公園5分以内、対面キッチン、都市ガス、システムキッチン、対面キッチン、浄水器、ユニットバス、追い焚き、浴室乾燥機、ウォシュレット、トイレ2ヶ所、浴室1坪以上、浴室に窓、暖房便座、バルコニー、テラス、南面バルコニー、2階建、LDK15畳以上、太陽光発電システム、全室2面採光、南西向き、クローゼット、収納、床下収納、下駄箱、全居室収納、シャンプドレッサー付き、モニタ付きインターフォン、複層ガラス、火災警報器(報知機)、通風良好、陽当り良好、24時間換気システム、建物10年保証

こだわり

耐震に配慮された建物、運転ラクラク生活、駅まで平坦ラクラク通勤、LDKは1階に、2階建て住宅限定、LDK15帖以上、対面キッチン、浴室1坪以上、小学校10分以内、小児科医院10分以内、幼稚園10分以内、公園10分以内、都市ガス、10棟以上の分譲地、道路広々(5m以上)、日当たり良好、低層住居専用地域

特記事項

 景観法:有/高度地区:有/日影制限:有/高さ限度:有/建築基準法第22条区域。

備考

稲城長沼駅・矢野口駅徒歩圏 全13棟の大型開発分譲地 南西向きで日当たり良好 太陽光パネル搭載

この一戸建てを見ている人におすすめの物件

お気軽にどうぞ!

お気に入りに追加済み

loading...