東村山市恩多町1丁目 建築条件無売地3380万円 12区画

物件種別

土地・売り地

価格

3,380万円

所在地

東村山市 恩多町1丁目 43-5

交通

西武新宿線「久米川」駅 徒歩 19 分

西武新宿線「小平」駅 徒歩 22 分

土地面積

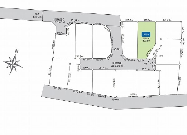
122.53㎡

前回情報更新日 2026.04.16 | 次回情報更新予定日 2026.04.30

道路広々(5m以上)

区画整理分譲地内に住む

低層住居専用地域

1 | 7

この物件のココがオススメ!

閑静な住宅地の全13区画の分譲地。お好きなハウスメーカーでお客様のお好みの間取りの家を建てられます。

  • 都市ガス
  • 公営水道
  • 公共下水
  • 閑静な住宅地
  • 2沿線以上利用可

お気軽にどうぞ!

お気に入りに追加済み

所在地マップ

お気軽にどうぞ!

お気に入りに追加済み

ローンシミュレーション

頭金・金利の場合

この物件の月々のお支払額

69,668

ボーナス時(年2回)お支払額

150,000

安全性をチェック! 年収に対する返済比率

- %

※会員登録し、詳細情報を記入されますと、全ての物件で自動的に金額が表示され、大変便利です。

※まだ会員登録をされていない方は、下記チェック欄をご記入ください。

※上記計算は物件価格 3,380万円+諸経費 8%込みの金額による結果となります。

※返済金額はあくまでも目安です。

お客様の条件からシミュレーションするには?

会員登録してローン情報を入力しておくと全ての物件に対してローンシミュレーションを表示できます。

周辺環境

東村山市立野火止小学校

小学校

周辺環境:東村山市立野火止小学校(750m)

東村山市立東村山第五中学校

中学校

周辺環境:東村山市立東村山第五中学校(1500m)

久米川駅

周辺環境:久米川駅(1520m)

お気軽にどうぞ!

お気に入りに追加済み

詳細情報

学区

東村山市立野火止小学校

東村山市立東村山第五中学校

用途地域

第一種低層住居専用

地目

建ぺい率

50%

容積率

100%

駐車場

無し

接道

5.0m

権利

所有権

私道面積

有 253.96m² 1/11

セットバック

無し

入居日

2026/09

都市計画

市街化区域

取引態様

仲介

物件番号

T293995

設備

都市ガス、公営水道、公共下水、閑静な住宅地、2沿線以上利用可、都市ガス

こだわり

運転ラクラク生活、急行電車でスピード通勤、始発で座ってゆったり通勤、区画整理分譲地内に住む、小学校10分以内、公園10分以内、都市ガス、10棟以上の分譲地、道路広々(5m以上)、低層住居専用地域

特記事項

 文化財保護法:有/景観法:有/航空法:有/高度地区:有/準防火地域:有/日影制限:有/敷地面積最低限度:有/高さ限度:有。 建築条件:なし/現状古家有、引き渡し時更地。

備考

閑静な住宅地の全13区画の分譲地。お好きなハウスメーカーでお客様のお好みの間取りの家を建てられます。

この一戸建てを見ている人におすすめの物件

お気軽にどうぞ!

お気に入りに追加済み

loading...